口腔医学 ›› 2026, Vol. 46 ›› Issue (2): 112-117.doi: 10.13591/j.cnki.kqyx.2026.02.005

• 基础与临床研究 • 上一篇    下一篇

鱼鳞骨粉及Bio-Oss骨粉对骨髓间充质干细胞成骨分化及体内骨再生作用的比较研究

王晓蕾1, 苏畅2, 周忠政3, 秦迪4, 惠光艳1, 王忠山5, 吴广升1()   

  1. 1 海军青岛特勤疗养中心口腔科, 山东青岛 (266071)
    2 中国海洋大学海洋生命学院生物化学与海洋生物材料实验室, 山东青岛 (266003)
    3 山东第二医科大学生命科学与技术学院生物工程教研室, 山东潍坊 (261042)
    4 青岛融智汇海洋生物科技公司研发部, 山东青岛 (266400)
    5 空军军医大学口腔医院修复科, 陕西西安 (710032)
  • 收稿日期:2025-06-16 出版日期:2026-02-28 发布日期:2026-03-09
  • 通讯作者: 吴广升 E-mail:30544206@qq.com
  • 基金资助:
    山东省自然科学基金(ZR2022MH062)

A comparative study on fish scales and Bio-Oss bone powder on osteogenic differentiation of bone marrow mesenchymal stem cells and bone regeneration in vivo

WANG Xiaolei1, SU Chang2, ZHOU Zhongzheng3, QIN Di4, HUI Guangyan1, WANG Zhongshan5, WU Guangsheng1()   

  1. Department of Stomatology, Qingdao Special Servicemen Recuperation Center of PLA Navy, Qingdao 266071, China
  • Received:2025-06-16 Online:2026-02-28 Published:2026-03-09

摘要:

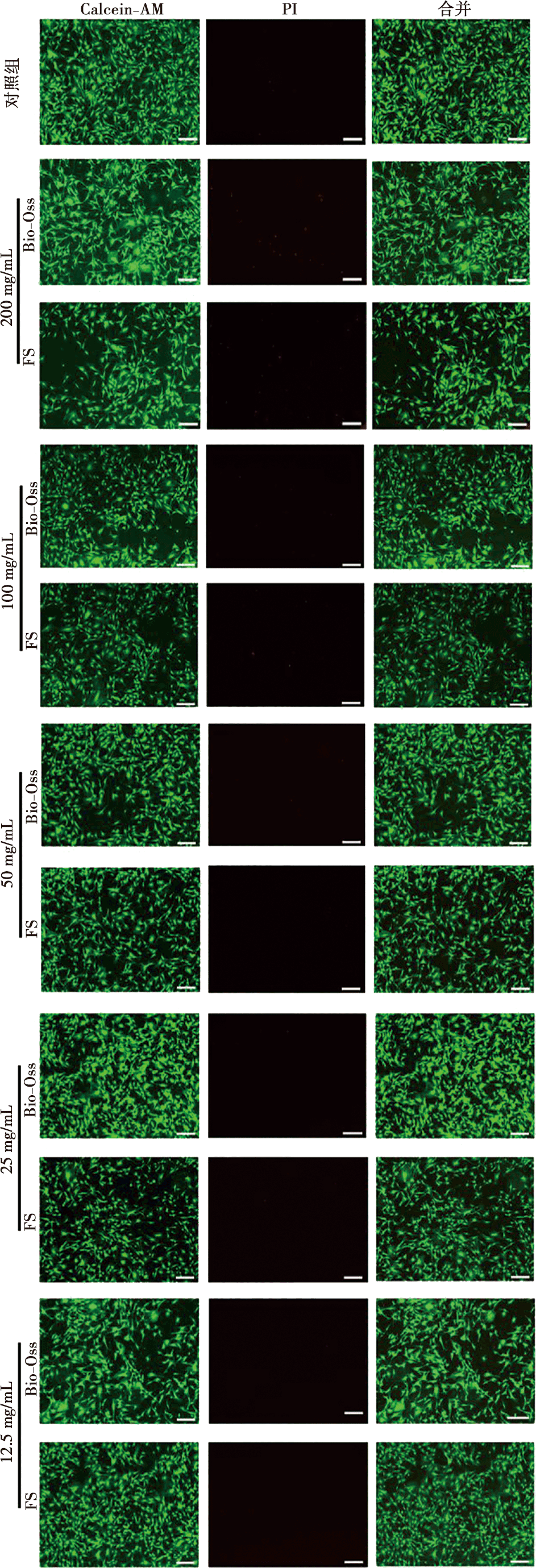
目的 观察并比较鱼鳞(fish scale,FS)骨粉及Bio-Oss骨粉的细胞毒性、促成骨分化能力及体内修复大鼠颅骨缺损作用。方法 制备FS骨粉,Bio-Oss骨粉作为阳性对照,扫描电子显微镜观察FS骨粉微观结构,活/死细胞染色和CCK-8检测12.5~200.0 mg/mL Bio-Oss和FS浸提液的细胞毒性。Bio-Oss骨粉(Bio-Oss组)和FS骨粉(FS组)分别与大鼠骨髓间充质干细胞(bone marrow mesenchymal stem cells,BMSCs)共培养,RT-PCR检测细胞成骨相关基因ALP、RUNX2、OPN表达,茜素红染色观察成骨矿化能力;将两种骨粉分别植入大鼠颅骨临界缺损模型,通过Micro-CT、HE染色及Masson染色观察术后8周骨再生效果。结果 FS骨粉直径为200~800 μm,正面呈瓦楞状,背面较平滑,形态不规则。50 mg/mL及以下浓度的Bio-Oss和FS浸提液无细胞毒性;Bio-Oss及FS均可促进BMSCs钙化结节形成及成骨相关基因(ALP、RUNX2及OPN)表达(P<0.05),且FS组RUNX2、OPN表达水平显著高于Bio-Oss组(P<0.05)。植入Bio-Oss骨粉和FS骨粉后,Micro-CT分析发现,大鼠颅骨缺损处新生骨骨体积分数(bone volume tissue volume,BV/TV)明显增加(P<0.05);HE及Masson染色结果显示Bio-Oss组和FS组骨再生量也明显提高。结论 FS骨粉具有较好的细胞相容性及促成骨分化能力,在大鼠体内骨再生效果与Bio-Oss相似,应用前景广阔。

关键词: 鱼鳞骨粉, Bio-Oss骨粉, 成骨分化, 骨再生

Abstract:

Objective To evaluate and compare the cytotoxicity, osteogenic differentiation potential and cranial defect repair capacity of fish scale (FS) bone powder versus Bio-Oss bone powder. Methods FS bone powder was prepared, with Bio-Oss bone powder as the positive control. The microstructures of both materials were examined by scanning electron microscopy (SEM). Cytotoxicity of Bio-Oss and FS extracts (12.5-200.0 mg/mL) on rat bone marrow mesenchymal stem cells (BMSCs) was assessed using live/dead cll staining and CCK-8 assays. BMSCs were co-cultured with Bio-Oss and FS powder and osteogenic gene expression (ALP, RUNX2, OPN) was detected by RT-PCR. Osteogenic mineralization capacity was observed by alizarin red staining. Bio-Oss and FS powder was implanted into rat calvarial critical-sized defects. The bone regeneration was analyzed at 8 weeks post-surgery using Micro-CT, hematoxylin-eosin (HE), and Masson’s trichrome staining. Results FS bone powder particles ranged from 200 to 800 μm in diameter, featuring a corrugated front surface, a relatively smooth back surface, and an irregular morphology. Both Bio-Oss and FS extracts showed no cytotoxicity at concentrations ≤50 mg/mL. Bio-Oss and FS significantly promoted the formation of calcified nodules and upregulated osteogenic genes (ALP, RUNX2, OPN)(P<0.05), with FS exhibiting higher RUNX2 and OPN expression than Bio-Oss (P<0.05). Micro-CT analysis revealed that both the Bio-Oss and FS groups exhibited significantly higher bone volume/tissue volume (BV/TV) (P<0.05). Histological analysis with HE and Masson’s trichrome staining demonstrated greater bone regeneration in both the Bio-Oss and FS groups. Conclusion FS demonstrates excellent cytocompatibility and osteogenic differentiation capacity, achieving comparable bone regeneration to Bio-Oss in rats, suggesting potential applications in bone tissue engineering.

Key words: fish scale bone powder, Bio-Oss bone powder, osteogenic differentiation, bone regeneration

中图分类号: